FBOS に関する FAQ: 固定基底演算子について知っておくべきこと
民間航空機がターミナルに接続されたゲートに駐機することはよく知られていますが、民間航空機の駐機手配についてはあまり馴染みがないかもしれません。固定基地事業者 (FBO) の概念と民間航空におけるその重要な役割を詳しく見てみましょう。
FBOはどのようにして生まれたのですか?
サーカスと同様に、パイロットや整備士は正式な本拠地を持たずに「路上」で働くことがよくありました。 1926 年の米国航空通商法の可決後、訓練と整備に関する規制が導入されました。このため、パイロットと整備士は、サービスを提供し続けるために、空港に一時的ではない恒久的なビジネスを設立する必要がありました。
一時的ではないビジネス慣行が、これらの企業が「固定基地事業者」と呼ばれる理由です。当初はニューメキシコ州アルバカーキに Cutter Flying Service Inc. として設立されました。カッター航空FBOは 1928 年に遡り、最も長く継続的に運営されている FBO です。
固定基底演算子とは何ですか?
私は FBO のパートタイム従業員です。私は家族や航空に興味のない友人に対して、FBO を航空機のサービス ステーションと表現することがよくあります。 9 ヤードすべてのサービスを提供するガソリン スタンドもあれば、ガソリンのみを提供するガソリン スタンドもあります。大手石油会社がいくつかのガソリン スタンドを所有しています。モービル、ブリティッシュ ペトロリアム、シェル、スノコなどを思い浮かべてください。一方で、その他のガソリン スタンドは単なる個人商店に過ぎません。飛行場の FBO にも同じことが当てはまりますが、航空機関連サービスの場合は、Signature Aviation、MillionAir、Atlantic Aviation などの大企業が所有している場合があります。他の人は燃料だけを提供し、家族経営の場合もあります。 FBO は主に民間航空機にサービスを提供していますが、大規模空港の一部の FBO は旅客機に燃料を提供しています。現在、全国のあらゆる規模の飛行場に 3000 を超える FBO が存在します。
FBOとターミナルの違いは何ですか?
「端末」という言葉は FBO (Fixed Base Operator) を指すこともありますが、この 2 つは大きな違いがあります。最も顕著な違いの 1 つは、セキュリティ検査のレベルです。民間航空会社にサービスを提供するターミナルでは、乗客が旅客機に搭乗する前に厳格なセキュリティ対策を実施しています。これらの対策には、TSA職員、スキャナー、徹底的な手荷物検査が含まれます。対照的に、民間航空に対応する FBO には、同レベルのセキュリティ要件がありません。民間航空機のハイジャックのリスクは最小限であると考えられるためです。その結果、FBO は TSA 職員やスキャナーを現場に置く必要がありません。
ターミナルと FBO のもう 1 つの大きな違いは、搭乗プロセスです。通常、ターミナルには、乗客がフライト間の乗降に使用する指定されたゲートがあります。多くの場合、ジェット ブリッジがこれらのゲートとターミナル ビルを接続しており、乗客はターミナルから飛行機まで直接歩いて移動できます。対照的に、FBO には一般にゲートがありません。代わりに、乗客は通常、既知の乗務員または FBO 従業員以外のほとんどの人と歩いて飛行機に向かうことができます。この合理化された搭乗プロセスは、FBO の全体的な柔軟性と利便性に貢献します。
多くのターミナルでは、レストラン、ショップ、ラウンジ、さらにはホテルなど、幅広い設備やサービスを提供しています。 FBO のアメニティはさまざまですが、多くの場合、フライト プランニング、ケータリング、地上輸送などの航空関連サービスに重点を置いています。一部の高級 FBO では、豪華なラウンジやコンシェルジュ サービスを提供している場合があります。
FBOが提供するサービス
固定基地事業者は通常、燃料供給以外にも次のようなサービスを提供します。
- 航空機整備
- 格納庫レンタル
- タイダウン・駐車サービス
- ケータリング
- 無料の軽食
- コンシェルジュサービス
- フライト計画のサポート
- 乗組員ラウンジ
- 陸上輸送の手配
写真: ノア・クーパーマン |シンプルな飛行
プライベートジェットカードの比較ただし、次のように警告しています。
「キャセイパシフィック航空、エミレーツ航空、ルフトハンザなどの航空会社の国際線ファーストクラスやビジネスクラスのラウンジに慣れている人はがっかりするかもしれません。通常、ボトル入りの水、コーヒー、そして場合によってはポップコーンメーカーが無料で提供されます。
「それ以外にも、無料のキャンディーや包装されたスナックが提供されることもあります。プレッツェルやビスケットを思い浮かべてください。多くの場合、ソーダや包装されたスナックは自動販売機で提供されます。一部の FBO には、地元の空港コミュニティにサービスを提供するように設計されたレストランやコーヒーショップがありますが、乗客にもオープンしています。」
FBO には、乗客が国際税関手続きを完了するためのデスクがあり、書類作成や検査を支援する税関職員が常駐している場合があります。一部の高級 FBO では、パイロットがティーオフを練習するためのゴルフ シミュレーターを提供しています。

写真:ミリオンエアFBO HPN
制限が緩和され柔軟性が向上したため、FBO はフライト スクールやチャーター便の運航にも理想的な場所です。航空学校は FBO を利用して学生に実際の航空環境での実践的な訓練を提供することができ、チャーター便は FBO を業務拠点として使用して、顧客に個別化された効率的なサービスを提供することができます。
FBOはどこで見つけられますか?
すべての飛行場に FBO があるわけではなく、複数の飛行場があることは言及する価値があります。飛行場に向かう場合は、海図サプリメントに最も正確な情報が記載されている可能性があります。 Foreflight、Garmin Pilot App、Skyvector などのデジタル サービスも FBO 情報を提供します。 Google マップは、以前のオプションの中で更新頻度が最も低いため、不正確な詳細情報が表示される可能性があります。
ただし、すべての飛行場に FBO があるわけではなく、複数の飛行場があることは言及する価値があります。たとえば、フロリダ州のデイトナビーチ国際空港には、旅客ターミナルそばのシェルトエア、航空交通管制塔近くのイェルビントン ジェット、滑走路 25L と 25R の間にある ATP ジェット センターの 3 つがあります。
写真: ノア・クーパーマン |シンプルな飛行
こちらもお読みください:世界中の最も豪華な FBO 5 つ
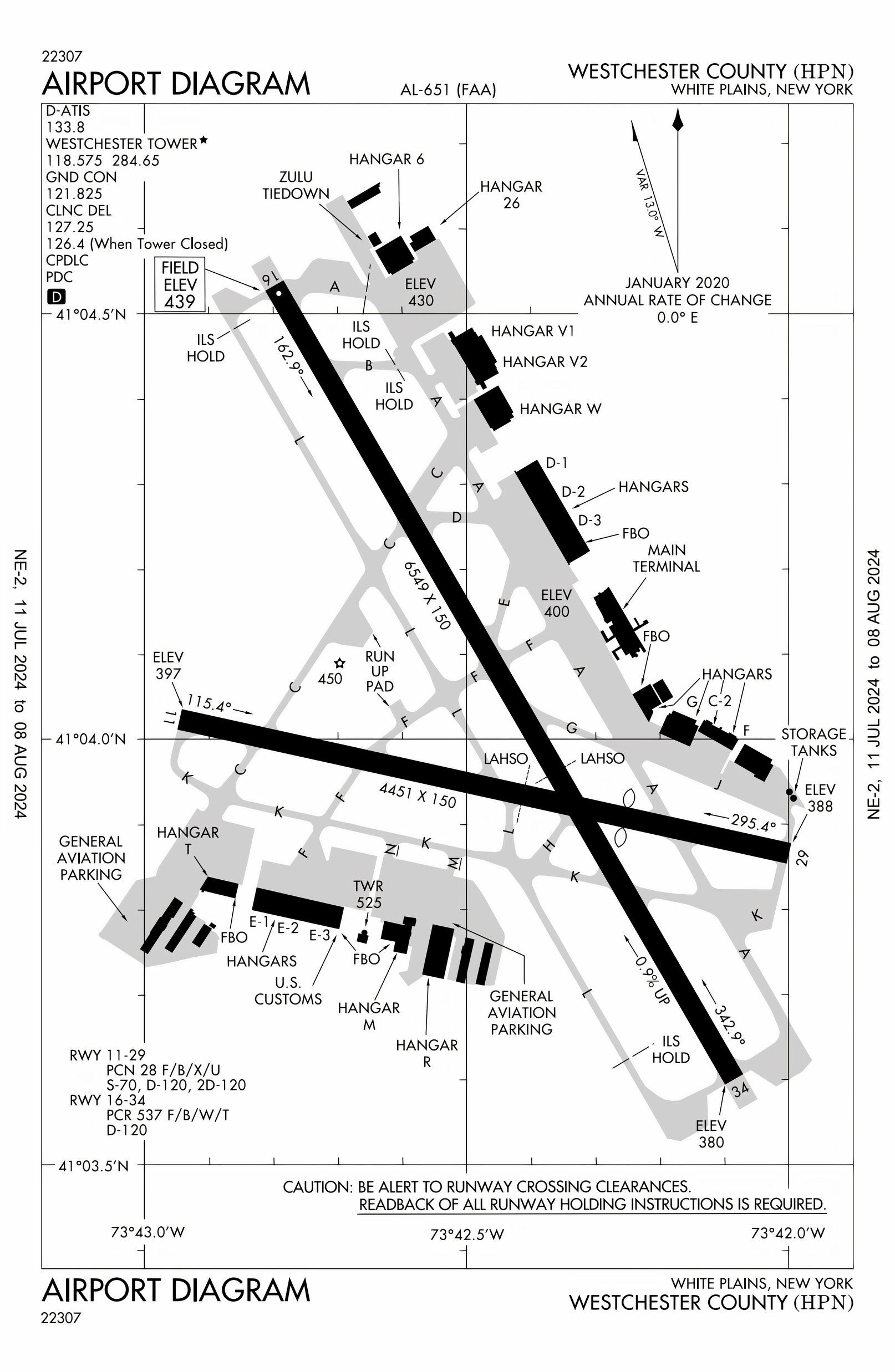
FBO 会社が飛行場の複数の側に建物を構えている場合があります。ニューヨークのウェストチェスター郡空港 (HPN) には、シグネチャー アビエーションの建物が 2 つあります。1 つは東側、もう 1 つは西側にあります。 Atlantic Aviation には HPN の東棟と西棟もあります。一方、ミリオンエアFBOはHPNの西側に1棟しかない。下の図にあるすべての FBO を数えることができますか?何個見つけたかコメントで教えてください!

図: 連邦航空局
FBO の持続可能な未来
一般航空がより持続可能な技術に適応するにつれて、固定基地の航空会社も適応しなければなりません。テキストロン社が、既存の単発ピストン航空機が鉛を含まない燃料でも走行できると発表したとき、FBO は無鉛 avgas の提供を開始しました。
一部の FBO は、有機原料と従来のジェット燃料をブレンドした、従来のジェット燃料よりも最大 80% 効率が高い持続可能な航空燃料 (SAF) の提供を開始しています。
特定の空港で SAF が提供されていない場合でも、航空会社は燃料購入時に割増料金を支払うことで温室効果ガスの排出量を相殺できます。このプレミアムは、SAF の生産に資金を提供するのに役立ちます。これは「Book and Claim」と呼ばれる方法であり、シグネチャー・アビエーション FBO。
写真: ノア・クーパーマン |シンプルな飛行
技術の進歩に伴い、電気航空機の充電は、最終的には全国のより多くの FBO で標準となるでしょう。ニューヨーク州マンハッタンにある3つの公共用ヘリポートのFBOは、ヘリコプター用のジェット燃料を段階的に廃止し、電動垂直離着陸(eVTOL)航空機用の充電器を導入する予定だ。充電器はFBOの屋根にあるソーラーパネルから電力を得る可能性が高く、これによりFBOの自立性が高まるだろう。
導入には最も時間がかかるかもしれないが、FBOは燃料電池航空機に水素燃料の供給を開始するだろう。
結論として、固定基地局オペレーター (FBO) は民間航空において重要な役割を果たし、パイロット、乗客、航空機所有者に幅広いサービスを提供します。給油やメンテナンスから格納庫のレンタル、ケータリング、飛行計画の支援に至るまで、FBO はシームレスで効率的な航空体験を保証することに専念しています。
業界の進化に伴い、FBO は持続可能な慣行を採用し、無鉛 AVGA、持続可能な航空燃料 (SAF)、および電気航空機用充電ステーションを提供しています。 FBO は、新しい技術に適応し、より環境に優しい航空オプションに対する需要の高まりに応えることで、民間航空の成長と発展を支援しながら、持続可能な未来に向けて自らを位置づけています。
Subscription
Enter your email address to subscribe to the site and receive notifications of new posts by email.
